Лишай у кота.
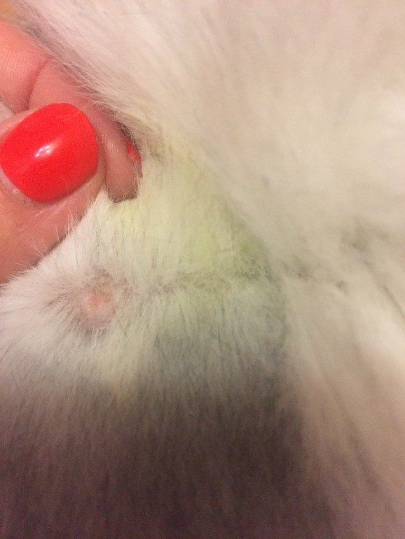
Новости сообществаДобрый вечер! Недавно мой котейка перенёс мочекаменную болезнь, в связи с чем мы несколько раз посещали вет. клинику. Сегодня обнаружила пятно на шее.. Похоже лишай принесли. Кто сталкивался? Как лечить? 
Дай семок
Не похоже это на лишай. От лишая уколы назначают курсом, а потом мазь (нам низорал назначали)
15.02.2018
Ответить
Дай семок
Лишай не мокнет, как у вас на фото. Лишай - в виде корочки такой на коже. А под корочкой - красная кожа, как воспаленная такая
15.02.2018
Ответить
Lina
А вы не хотите сперва узнать в клинике от чего лечить то? Соскобы сделать? Лампой посветить? А то сейчас намазюкаите например аллегию на предыдущие лекарсва всякой химией. Потом еще осложнения лечить будите. И поищите клинику получше где перед новыми пациентами столы и инструменты хорошо обрабатывают. Жалко как то на котейке эксперементировать, он уже у вас намучался.
14.02.2018
Ответить
Лидия
Это верно конечно, но кто ж знает обрабатывают или нет. Лекарства уже месяц не даем, не похоже на аллергию.
15.02.2018
Ответить