Что это?!
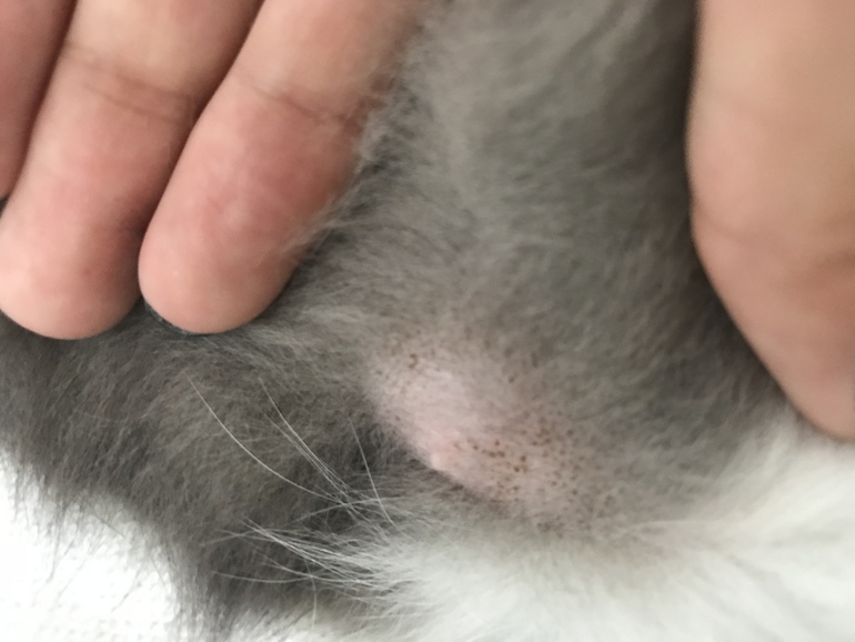
Кошки. Болезни, прививки, советы по уходуДевочки, может кто знает что это у кота вокруг соска?! Не опасно для младенца?? 
dromomania
Похоже на угри от грязи. Поры забились пылью, у людей тоже бывает на носу. У лысых котов породы Сфинкс часто бывает на подбородке, хвосте. У шерстяных тоже встречается...ничего страшного!
05.08.2018
Ответить
Korushka (Анна)
а вокруг других сосков не так? Обычно вокруг него спецом шерсть не растет, так устроено...
04.08.2018
Ответить
Ekaterina
Так только около 2 сосков, у других шерсть( на обоих эти чёрные точки. И ещё под пухом на пузе нашла.
05.08.2018
Ответить
Katy Pirogova
У моей кошки подобное( я думаю это геморрагические высыпания- т.е. полопались капилляры) во время беременности, когда выме увеличивается в объёме из-за молока. Ничего опасного.
04.08.2018
Ответить
Katy Pirogova
Может он потолстел ? Или попробуйте скинуть фото на ветеринарный форум.Я сегодня посмотрю у моего кота. А ещё, может он грязный просто? Не отмывается ли это?
04.08.2018
Ответить
Ekaterina
Да, несколько потолстел))) я попробовала, не отмывается. Главное, чтоб не заразно для ребёнка и к ветеринару нет возможности сходить
04.08.2018
Ответить