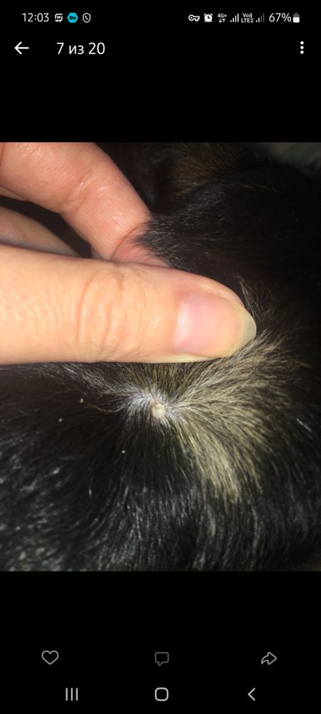
Что это у собаки?
Собаки. Болезни, прививки, советы по уходуПока возможности к ветеринару пойти нет. Все болеем. У собаки появилось такое. Было сухой коркой. Я помазала белодермом. Стало мягким и выпуклым. Но не проходит. Как небольшая опухоль или родинка по ощущениям. Фото в коментах
Наталья
блошиный дерматит скорее всего отсроченные реакции, но светить придется и скоблить тоже может и демодекоз
06.11.2022
Ответить
Алька Родригез
идите к вету. У моей собаки это оказалось опухоль,. пришлось делать операцию. Начиналось так же. В случае опухоли остановить ее рост нельзя, но можно вырезать пока маленькая, шрама на полсобаки не будет, как у нас)
05.11.2022
Ответить
Художница со стажем
Алька Родригез, ыыыы. Не хотелось бы конечно чтоб это была опухоль...
05.11.2022
Ответить
Художница со стажем
Алька Родригез, а у вас тоже коркой покрывалось? Я просто помню что когда мы её нашли с этого места мы срезали жвачку...
05.11.2022
Ответить
Yuliana Trubitsyna
Здравствуйте! Если нет вохможности быстро попасть к врачу в кабинет, то можете предварительно проконсультироваться с ветеринарами онлайн, чтобы они могли помочь и рассказали, как оказать первую помощь собачке
Оставляю контакты клиники, которые консультируют онлайн https://goodhands.vet/?utm_sou...">www.babyblog.ru
Обратитесь там к дерматологу Леоновой Анастасии
05.11.2022
Ответить
Анжелика
Он там лижет?
У нас немецкая овчарка, было похожее, чесалось в определенном месте и он там лизал интенсивно, и появлялось похожее пятнышко с залысиной небольшой. Сдавали анализы, оказалось аллергия на траву, которая весной начинает цвести.
Это называется экзема. Это может так же быть аллергией на определенные продукты питания или что то возможно дали со стола и пошла реакция.
Очень похоже на экзему.
Мы мазали мазью , но название ее не помню , посоветуйтесь в ветаптеке.
Это так же может быть стригущий лишай, конечно лучше посоветоваться со специалистом.
05.11.2022
Ответить
Cleo
Очень похоже, как у нас было .... папиллома . Она потом отвалилась сама и вот такое вот пятно осталось и теперь без шерсти.
05.11.2022
Ответить
Cleo
Вот. Это ещё с ней. Потом вокруг прям белое пятно без шерсти стало, как у вас .
05.11.2022
Ответить
Художница со стажем
Cleo, да. Похоже на папилому. Но почему тогда с коркой было и большая
05.11.2022
Ответить
Cleo
Художница со стажем, ну просто она отвалилась и на её месте на ранке образовалась корка. У нас тоже выглядело потом как ранка/царапка.
Я брызгала мирамистин и всё.
Понаблюдайте.
Вашей собачке сколько лет ?
05.11.2022
Ответить
Художница со стажем
sunny , не. Мы сходим. Но если лишай то может чем то сейчас помазать можно
05.11.2022
Ответить
sunny
Художница со стажем, вы вроде с улицы взяли щенка?
От лишая помогает серная мазь, её можно купить в обычной аптеке, в ветаптеке можно спросить и другие средства для животных. Лишай заразный, люди тоже могут заболеть.
Я больше склоняюсь к аллергии, дала бы собаке преднизолон, но если собакен с улицы.... То лучше перестраховаться и в плане лишая.
05.11.2022
Ответить
Жанна
Художница со стажем, либо лишай, либо аллергия. Мы своего накормили со стола, он похожими проплешинами покрылся по всему телу и морде, очень долго не проходило.
05.11.2022
Ответить