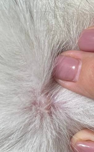
Что это может быть такое?
Собаки. Болезни, прививки, советы по уходуфото в коментах.
Сегодня ночью погладила пса, и почувствовала шарик, смотрю а похоже очееень на укус клеща и будто бы клещ присосался, но его нет от слова совсем
что это может быть? Никогда такого не было вообще.
Порода мопс, 3,5 года
В ветеринарку поедем только завтра. Вдруг кто сталкивался с таким, хоть ориентировочно знать с чем может столкнутся.
Лучший ответ
elena
Может просто образование типа жировика или что то подобное.думаю у животных такое тоже бывает
21.11.2024
Ответить
Кэт Ли
Может глупость скажу, но может это пупочная грыжа? На животике, посерединке. У нас у кошки как-то была, правда больше выглядела не как шарик, а как бугорок. В любом случае, конкретный ответ даст только ветеринар.
24.11.2024
Ответить
Жёванный Крот с эбонитовой палкой
это может быть что угодно. Только ветеринар,а часто плюс гистология,покажет
22.11.2024
Ответить
Снежная Королева
Однажды я нащупала такую же штуку у кота, только она ещё и темная. Я думала, что это клещ, хотела сама снять, но побоялась. Как раз недалеко открылась ветеринарка, я пошла туда. Там показали, что это не клещ, а типа папиломы, может и есть название, но я забыла. Так с этой штукой кот и живёт уже лет 5, она немного увеличилась, но не беспокоит.
22.11.2024
Ответить
Виктория
Моего весной кусал клещ, но там был не такой след 🤔 хотя такого, насосавшегося уже снимали. Я уже плохо помню, но мне кажется, несколько лет назад было что-то подобное на груди, ближе к передней лапе, ветеринар сказал, что просто уплотнение, ну типа жировик (оно мне тогда казалось на родинку похожим, или даже на сосок, но это был не он). Короче, суть в том, что он потом через какое-то время исчез, вообще ничего с ним не делали, просто наблюдали, чтобы не рос. А потом в один момент не обнаружили него. Так и осталось для меня загадкой, что это такое.
У нас тоже мопс. Напишите потом, что вам ветеринар скажет, интересно
21.11.2024
Ответить
Михаэлла
Это может быть не клещ, а, например, воспаление или подкожное образование, которое могло появиться по разным причинам (аллергия, укусы насекомых, повреждение). Иногда бывают небольшие шишки, которые проходят сами. Но, конечно, лучше проверить в ветеринарной клинике, чтобы точно разобраться.
21.11.2024
Ответить