Фаршированный лещ
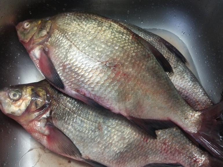
Попались мне на распродаже лещи - всего по 29 рублей за кг. Ну как можно пройти? Купила 3 штуки, каждый больше килограмма...Решила нафаршировать как учила баба Броня.


Вот они - красавцы:

Очистить чешую, промыть, отрезать голову и хвост. Вынуть внутренности, не разрезая брюшко:

Нарезать толстую часть леща на куски по 4-5 см. Ввести под кожу острый нож и срезать по кругу шкуру (не прорезать!):

Остаются вот такие куски:

Снять мякоть с костей (у меня еще и икра попалась):

Смолоть вместе с луком:

Добавить соль, сахар, свежемолотый черный перец. Перемешать. Разложить в форме для запекания шкурки. Набить их фаршем:

Отходы леща сложить в кастрюлю, залить холодной водой и поставить варить. Добавить соль, черный перец горошком, корень петрушки, лавровый лист. Варить до готовности, снимая пену. Процедить бульон:

Залить бульоном подготовленные медальоны. Украсить пореем и морковкой:

Закрыть фольгой и поставить запекать на 40-60 минут. Затем снять фольгу и запекать еще 5 минут:

Очень сочно:

Бульон застывает в красивое желе. И в холодном виде можно есть как заливное!